Italiano
English
Español
العربية
106.950 €

Villetta bifamiliare a Zero Branco (TV)

Villa Bifamiliare in vendita • Zero Branco - Via Pietro Sola
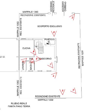
Villetta bifamiliare sviluppata su due piani con scoperto privato di 250 mq situata a Zero Branco (TV) in via Pietro Sola, costituita al piano terra da un soggiorno, una cucina, lavanderia, servizio igienico, portico coperto e pergola; al piano primo si compone di tre camere da letto, un bagno, corridoio e loggia.


22REB è a disposizione per valutare come la nostra esperienza potrà favorirti nel realizzare il tuo miglior investimento.


L'immobile è oggetto di vendita giudiziaria.

22REB non si occupa di attività di intermediazione imm. di cui alla legge 39/89.
 Per motivi di privacy la foto dell'immobile/terreno è indicativa ma non esaustiva.
Caratteristiche principali
Codice
GM2128/25
Città
Zero Branco
Categoria
Villa Bifamiliare
Prezzo
106.950 €
Locali
7
Camere
3
Bagni
2
Mq
136
Classe energetica
In fase di valutazione
Mappa
Via Pietro Sola , Zero Branco (TV)
Condividi su
Cookie preference