Italiano
English
Español
العربية
260.250 €

Capannone a Zanè (PD)

Capannone in vendita • Zanè - Via G. Leopardi
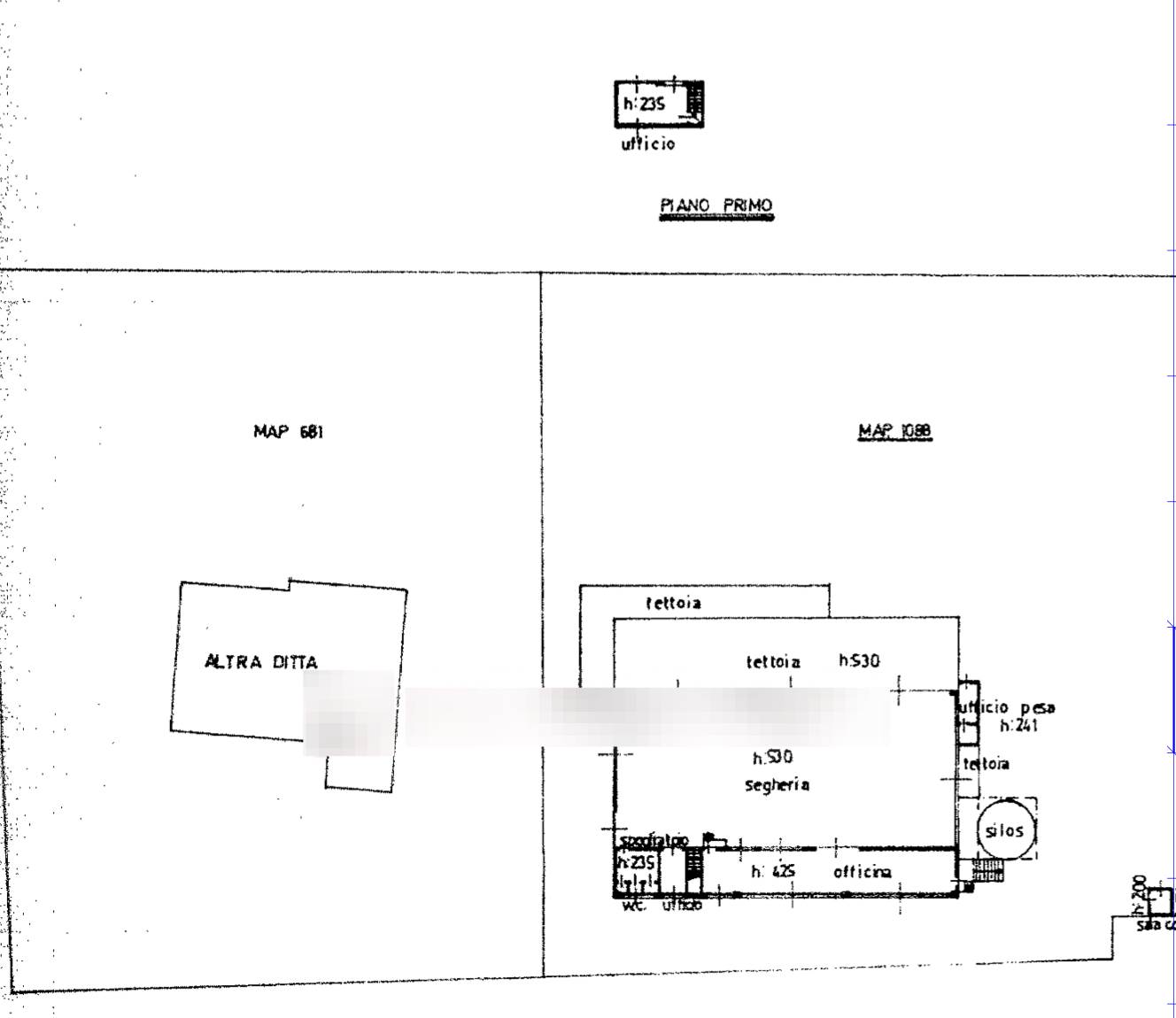
Compendio ad uso falegnameria-segheria, composto da più fabbricati destinati ad uffici, laboratorio-falegnameria, depositi-magazzini ed essiccatoi, il tutto situato a Zanè (VI) in via G. Leopardi. Il compendio risulta composto da più fabbricati, quali laboratorio-falegnameria-segheria con uffici, composto al piano terra da zona uffici e zona laboratorio, al piano primo da ufficio ed al piano interrato da deposito. Nell’area esterna è presente una pesa.


22REB è a disposizione per valutare come la nostra esperienza potrà favorirti nel realizzare il tuo miglior investimento.


L'immobile è oggetto di vendita giudiziaria.

22REB non si occupa di attività di intermediazione imm. di cui alla legge 39/89.
 Per motivi di privacy la foto dell'immobile/terreno è indicativa ma non esaustiva.
Caratteristiche principali
Codice
GM3621/25
Città
Zanè
Categoria
Capannone
Prezzo
260.250 €
Locali
1
Mq
1268
Classe energetica
In fase di valutazione
Mappa
Via G. Leopardi , Zanè (VI)
Condividi su
Cookie preference