Italiano
English
Español
العربية
35.700 €

Rustico a Gazzo (PD)

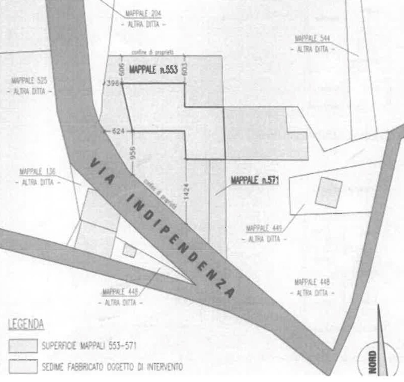
Rustico/Casale in vendita • Gazzo - Via Indipendenza
Porzione di casa accostata con annesso rustico e corte esclusiva situata a Gazzo (PD) in via Indipendenza, per una superficie complessiva di 348 metri quadri ed annessi terreni agricoli di 619 metri quadri.


22REB è a disposizione per valutare come la nostra esperienza potrà favorirti nel realizzare il tuo miglior investimento.


L'immobile è oggetto di vendita giudiziaria.

22REB non si occupa di attività di intermediazione imm. di cui alla legge 39/89.
 Per motivi di privacy la foto dell'immobile/terreno è indicativa ma non esaustiva.
Caratteristiche principali
Codice
GM3631/25
Città
Gazzo
Categoria
Rustico/Casale
Prezzo
35.700 €
Locali
1
Mq
348,45
Classe energetica
In fase di valutazione
Mappa
Via Indipendenza , Gazzo (PD)
Condividi su
Cookie preference